Before I get into the meat of this piece, I’d like to tackle an issue which seems to get some people both animated and agitated in equal measure. There is no right or wrong way to refer to this species. Some people use the term “Killer whale” whilst others prefer “Orca”. Neither one is more correct than the other and in fact they are often inter-changeable.
I first became aware of this dilemma when I spent the summer of 1995 working on the BC Parks warden service project which is still going strong today, called the Robson Bight (Micheal Biggs) Ecological Reserve in Northwest Vancouver Island, British Columbia. Three months with the salmon eating Northern resident killer whale population was an amazing experience which started a lifelong fascination for this apex predator. A few years later, my predilection for killer whales took me down to the very southern tip of the American continent to spend time with a very different killer whale eco-type, the marine mammal beaching specialists of Peninsula Valdes in Patagonia, Argentina, whose favourite prey during the season is juvenile southern fur seals playing in the surf.
Even 30 years ago it was clear who used which term. It’s not much different today. Generally speaking the scientific/research community use the term “killer whale” both in conversation and scientific publications, while younger cohorts and mainstream media tend to prefer the somehow more politically correct term “Orca”.
I understand the arguments for and against both, but the more outraged readers get with my use of the term “killer whale”, the more inclined I am to use it. But it is matter of personal choice. Before you condemn me out of hand for being a dinosaur, go and see this species in the wild and you might not be so outraged by usage of the term “killer whale”. It is after all very much what they do and who they are.
As with most apex predators, sightings of them are few and far between, and you could be sea watching for decades without ever seeing one in Irish waters. However, the past week has been rather exceptional as we’ve recorded this species most days in Dingle Bay between June 15 & 25th. His last known whereabouts was between Puffin Island and Valentia on June 25th, and still alone. I should perhaps clarify that these sightings are of the same adult male called “Aquarius” or W08 from the Scottish West Coast Community Group. “Hang on”…. I hear you ask, wasn’t he the other half of the duo which included the better-known John Coe (JC)? …Well yes, he is, or was!
With every sighting of Aquarius alone, the concern grows that JC may be dead. It wouldn’t be completely unexpected as by any standards an adult male killer whale whose first sightings can be traced back to the Hebrides between 1981-1983, and who was already then a fully grown adult, could today be 50-60 yrs old and near end of life.
To the best of our knowledge the last validated record of JC and Aquarius together, confirmed with images, was another Irish sighting off Rathlin Island, Co. Antrim on May 5th. Then on May 31st birders off Cape Clear Isl., West Cork had a pair, alas without images we couldn’t positively confirm their identity. This record also clashed with another off the back of Rum in the outer Hebrides just two days earlier, again without supporting images. This suggests either a case of mistaken identity at one of the two sites, or else there are two similarly notched bulls that are easily confused. But given the distance c750km between these sites and sighting interval (48 hrs), it’s not possible that both these sightings were of JC and Aquarius.
It’s important however that we don’t over speculate on JCs demise as it’s not unheard of for either of these bulls to be photographed alone, but when they are it’s generally JC, which of course

John Coe, Tory Isl. Donegal 08/09/2019 © Brad Robson
reflects on his being so much easier to detect as a result of the large chunk missing from the base of his dorsal fin. Aquarius on the other hand has a much cleaner dorsal fin and his markings are far more subtle. So, to identify him from images you are going to either need to get very close or have a large DSLR and a good zoom lens and know how to use it. A camera phone casually whipped out of your back pocket won’t cut it.
So going forward we may not have the luxury of regular sightings of this pairing and so we present you with these graphics of Aquarius which we hope you’ll find useful should you be lucky enough to spot a solitary killer whale in the coming season around these Isles. If you have any old or current killer whale images from Irish waters, we’d love a chance to view them in case they help us find a missing piece from this complicated mosaic of an even more complicated killer.
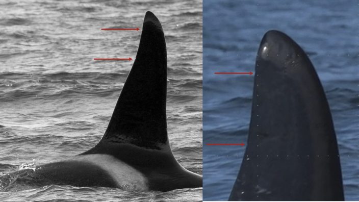
Aquarius W08, dorsal fin:
Note the two very small indents on the top half of the trailing edge. Left image © Nigel Spencer and Courtesy of the Scottish Killer whale ID Catalogue

Aquarius W08, rake marks:
Subtle, but if images taken in good light the right side of Dorsal fin shows these conspecific rake marks, caused by interactions with other killer whale(s)

Aquarius W08, tail fluke:
If tail fluking (left) or tail slapping (right), put camera on a fast shutter speed and try to capture his trailing edge, which has two very obvious notches on the left fluke.

Aquarius W08, saddle patch:
Very subtle and again will require a close encounter and good light conditions behind the camera

We’d like to thank a lot of people in Ireland and Scotland for helping us with these images and pointing out some of the less obvious distinguishing features. The recent ID images are all taken in Dingle Bay, Kerry by Nick Massett, IWDG, and the stunning breaching feature shot is courtesy of Jamie Quirke. The Scottish images are from Nigel Spencer (Scottish Killer whale catalogue), HWDT & Emma Neave Webb, Conor Ryan. . Also, thanks to Hugh Harrop (Shetland Wildlife) for guidance re images.
By Pádraig Whooley, IWDG
